Insurance Day is part of Maritime Intelligence

This site is operated by a business or businesses owned by Maritime Insights & Intelligence Limited, registered in England and Wales with company number 13831625 and address c/o Hackwood Secretaries Limited, One Silk Street, London EC2Y 8HQ, United Kingdom. Lloyd’s List Intelligence is a trading name of Maritime Insights & Intelligence Limited. Lloyd’s is the registered trademark of the Society Incorporated by the Lloyd’s Act 1871 by the name of Lloyd’s.

This copy is for your personal, non-commercial use. For high-quality copies or electronic reprints for distribution to colleagues or customers, please call UK support +44 (0)20 3377 3996 / APAC support at +65 6508 2430

Printed By

UsernamePublicRestriction

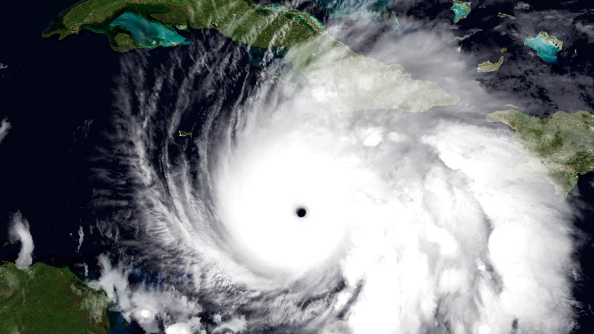
Insured losses could exceed $5bn as Melissa slams Jamaica

Worst storm in Jamaica’s recorded history will hit Cuba and Bahamas today

Low insurance penetration limits exposure, most of which will fall on reinsurers, analysts say

Related Content

Topics

UsernamePublicRestriction

Register

ID1154925

Ask The Analyst

Ask The Analyst - Ask Your Question Send your question to our team of expert analysts. You can: • Ask for background information on/explanation of articles in Insurance Day * • Find out more about our views on industry developments • Ask for an interpretation of market trends • Source supplementary data relating to articles • Request explanations to further your understanding of current issues (* This relates to any Insurance Day that is included as part of your subscription) We will do the research and get back to you personally with the information you need.

Your question has been successfully sent to the email address below and we will get back as soon as possible. my@email.address.

All fields are required.

Please make sure all fields are completed.

Please make sure you have filled out all fields

Please make sure you have filled out all fields

Please enter a valid e-mail address

Please enter a valid Phone Number

Ask your question to our analysts

Cancel