Moody’s puts Melissa losses at $3bn to $5bn
Forecast somewhat more pessimistic than KCC and Verisk
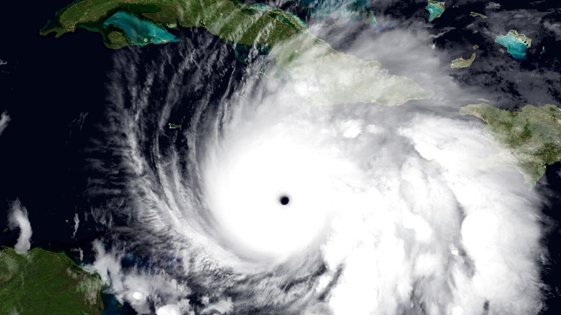
Melissa 'truly a generational event for Jamaica'
Insurance Day is part of Maritime Intelligence
This site is operated by a business or businesses owned by Maritime Insights & Intelligence Limited, registered in England and Wales with company number 13831625 and address c/o Hackwood Secretaries Limited, One Silk Street, London EC2Y 8HQ, United Kingdom. Lloyd’s List Intelligence is a trading name of Maritime Insights & Intelligence Limited. Lloyd’s is the registered trademark of the Society Incorporated by the Lloyd’s Act 1871 by the name of Lloyd’s.
This copy is for your personal, non-commercial use. For high-quality copies or electronic reprints for distribution to colleagues or customers, please call UK support +44 (0)20 3377 3996 / APAC support at +65 6508 2430
Printed By
Melissa 'truly a generational event for Jamaica'
| Table |
|---|
Ask The Analyst - Ask Your Question Send your question to our team of expert analysts. You can: • Ask for background information on/explanation of articles in Insurance Day * • Find out more about our views on industry developments • Ask for an interpretation of market trends • Source supplementary data relating to articles • Request explanations to further your understanding of current issues (* This relates to any Insurance Day that is included as part of your subscription) We will do the research and get back to you personally with the information you need.
Your question has been successfully sent to the email address below and we will get back as soon as possible. my@email.address.
All fields are required.
All set! This article has been sent to my@email.address.
All fields are required. For multiple recipients, separate email addresses with a semicolon.
Please Note: Only individuals with an active subscription will be able to access the full article. All other readers will be directed to the abstract and would need to subscribe.